Ostrów Wielkopolski, ul. Wrocławska 12, tel. 62 592 18 13, tel. kom. 601 700 413 e-mail: ogn.ostrow@wp.pl
Witamy na stronie
Ostrowskiej Giełdy Nieruchomości
Licencja Zawodowa nr 2386
działka • sprzedaż • rynek wtórny
Ostrów Wielkopolski • ul.Gdańska
Numer oferty: D-1498
Cena: 2 600 000,00 PLN
Cena za m2: 295,45 PLN
| Powierznia (m²) | 8 800,00 |
| Forma własności | własność |
| Ogrodzenie | brak |
| Gaz | możliwość podłączenia |
| Typ podłączenia wody | miejskie |
| Typ kanalizacji |
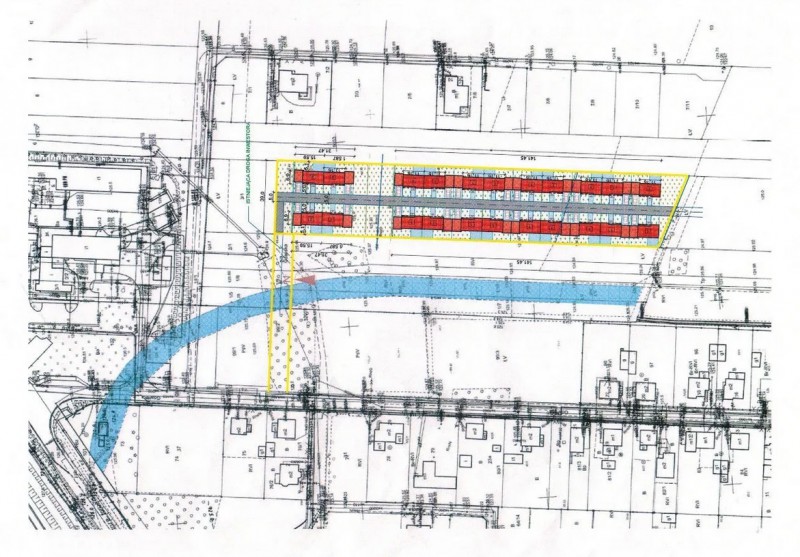
Oferujemy Państwu na sprzedaż teren inwestycyjny, który położony jest w północnej części Ostrowa Wielkopolskiego przy ulicy Gdańskiej. Jego powierzchnia to 8800 m2, działka ta posiada wydane warunki zabudowy i zagospodarowania terenu na budowę 22 budynków jednorodzinnych w zabudowie bliźniaczej. Znajdowały się one będą przy nowej drodze dojazdowej wraz z ciągiem pieszo rowerowym - jest to inwestycja miejska zaplanowana na 2022 rok.
Ostrów Wielkopolski, ul. Wrocławska 12, tel. 62 592 18 13, tel. kom. 601 700 413 e-mail: ogn.ostrow@wp.pl